name

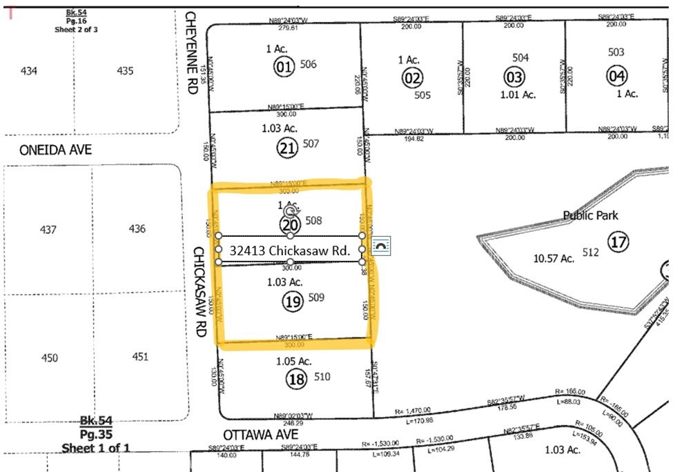
32413 Chickasaw Road

  • Coarsegold, CA
  • $425,000

ABOUT

Welcome to Your Private Mountain Retreat! Set on 2 expansive acres across two parcels (APNs: 054-361-020-000 & 054-361-019-000), this exceptional property offers a rare combination of privacy, flexibility, and future potential. With approximately 300' x 300' of usable space, the included second buildable lot opens the door to a guest home, income-producing unit, or multi-generational living. Backing to public land, you'll enjoy unobstructed views and enduring seclusion. The 2,117 sq. ft. residence features 3 bedrooms and 2.5 bathrooms, thoughtfully designed for both everyday comfort and effortless entertaining. Located at approximately 2,200 feet in elevation, the home benefits from cooler summers and mild winters, all while being just 25 minutes from Fresno--a perfect balance of convenience and escape. Extensive recent upgrades ensure peace of mind, including a new roof and gutters (2024), fresh interior and exterior paint, all-new flooring throughout (2025), recent HVAC upgrades with an included warranty, and a newly installed electrical subpanel for improved capacity and efficiency. Section 1 pest clearance work will be completed by April 30th, further enhancing the home's value and readiness. Tucked back from the road for added privacy, the property invites you to unwind in nature. Enjoy morning coffee or evening sunsets from the enclosed deck overlooking two seasonal creeks, or host unforgettable gatherings on the spacious circular patio. Inside, the dedicated game room--complete with a stunning 9' x 5' slate pool table--creates the perfect space for entertaining, while the finished basement offers incredible versatility for a workshop, studio, or additional storage. Two additional outbuildings provide ample room for equipment, hobbies, or recreational gear. This is a rare opportunity to own a versatile, private mountain property with room to grow, create, and enjoy the lifestyle you've been dreaming of. Schedule your private showing today.
Welcome to Your Private Mountain Retreat!
Set on 2 expansive acres across two parcels (APNs: 054-361-020-000 & 054-361-019-000), this exceptional property offers a rare combination of privacy, flexibility, and future potential. With approximately 300' x 300' of usable space, the included second buildable lot opens the door to a guest home, income-producing unit, or multi-generational living. Backing to public land, you'll enjoy unobstructed views and enduring seclusion.
The 2,117 sq. ft. residence features 3 bedrooms and 2.5 bathrooms, thoughtfully designed for both everyday comfort and effortless entertaining. Located at approximately 2,200 feet in elevation, the home benefits from cooler summers and mild winters, all while being just 25 minutes from Fresno--a perfect balance of convenience and escape.
Extensive recent upgrades ensure peace of mind, including a new roof and gutters (2024), fresh interior and exterior paint, all-new flooring throughout (2025), recent HVAC upgrades with an included warranty, and a newly installed electrical subpanel for improved capacity and efficiency. Section 1 pest clearance work will be completed by April 30th, further enhancing the home's value and readiness.
Tucked back from the road for added privacy, the property invites you to unwind in nature. Enjoy morning coffee or evening sunsets from the enclosed deck overlooking two seasonal creeks, or host unforgettable gatherings on the spacious circular patio.
Inside, the dedicated game room--complete with a stunning 9' x 5' slate pool table--creates the perfect space for entertaining, while the finished basement offers incredible versatility for a workshop, studio, or additional storage. Two additional outbuildings provide ample room for equipment, hobbies, or recreational gear.
This is a rare opportunity to own a versatile, private mountain property with room to grow, create, and enjoy the lifestyle you've been dreaming of.
Schedule your private showing today.
Welcome to Your Private Mountain Retreat! Set on 2 expansive acres across two parcels (APNs: 054-361-020-000 & 054-361-019-000), this exceptional property offers a rare combination of privacy, flexibility, and future potential. With approximately 300' x 300' of usable space, the included second buildable lot opens the door to a guest home, income-producing unit, or multi-generational living. Backing to public land, you'll enjoy unobstructed views and enduring seclusion. The 2,117 sq. ft. residence features 3 bedrooms and 2.5 bathrooms, thoughtfully designed for both everyday comfort and effortless entertaining. Located at approximately 2,200 feet in elevation, the home benefits from cooler summers and mild winters, all while being just 25 minutes from Fresno--a perfect balance of convenience and escape. Extensive recent upgrades ensure peace of mind, including a new roof and gutters (2024), fresh interior and exterior paint, all-new flooring throughout (2025), recent HVAC upgrades with an included warranty, and a newly installed electrical subpanel for improved capacity and efficiency. Section 1 pest clearance work will be completed by April 30th, further enhancing the home's value and readiness. Tucked back from the road for added privacy, the property invites you to unwind in nature. Enjoy morning coffee or evening sunsets from the enclosed deck overlooking two seasonal creeks, or host unforgettable gatherings on the spacious circular patio. Inside, the dedicated game room--complete with a stunning 9' x 5' slate pool table--creates the perfect space for entertaining, while the finished basement offers incredible versatility for a workshop, studio, or additional storage. Two additional outbuildings provide ample room for equipment, hobbies, or recreational gear. This is a rare opportunity to own a versatile, private mountain property with room to grow, create, and enjoy the lifestyle you've been dreaming of. Schedule your private showing today.
Show more

1979

1979

Year Built

3

3

Total Bedrooms

3

3

Total Bathrooms

2,117

2,117

Sq.Ft.

Living Space

1

1

Acres

Lot Size

image

Schedule a Tour

We would love to show you our beautiful property. Please select your preferred date and time below. An agent will be in touch shortly to confirm your appointment.

Schedule a Tour

We would love to show you our beautiful property. Please select your preferred date and time below. An agent will be in touch shortly to confirm your appointment.

Thank you for your interest in 32413 Chickasaw Road, Coarsegold, CA 93614. We are reviewing your request and will be in touch shortly!
01

Interior

Total Bedrooms

3

Total Bathrooms

3

Full Bathrooms

2

Laundry room

Laundry Room

Flooring

Carpet, Laminate, Tile

Fireplace

Living Room

Appliances

Dishwasher, Electric Cooktop, Disposal, Microwave, Refrigerator

Other Interior Features

Living Room Deck Attached, Open Floorplan, Storage
01

Exterior & Building

Story

1

Water Source

Private

Utilities

Cable Available, Electricity Connected, Propane, Phone Available, Water Connected

Pool

None

Lot Features

Front Yard, Rocks, Street Level, Trees

Parking

Driveway Level, Driveway

Heat Type

Fireplace(s), Wood Stove

Air Conditioning

Central Air

Sewer

Septic Tank

Security Features

Carbon Monoxide Detector(s), Smoke Detector(s)

Other Exterior Features

Lighting, Rain Gutters
01

Lot & Area

Status

For Sale

Living Area

2,117 Sq.Ft.

Lot Size

1 Acres

MLS® ID

FR25128110

Type

Residential

Year Built

1979

Neighborhood

Coarsegold

Architecture Styles

Patio Home

Water Frontage

Creek

View Description

Hills,Mountain(s),Neighborhood,Creek/Stream

High School

Milikan

School District

Chawanakee Unified
01

Finance

Sales Price

$425,000

Zoning

RMS

Mortgage Calculator

Estimate your monthly mortgage payment, including the principal and interest, property taxes, and HOA. Adjust the values to generate a more accurate rate.
All estimates are provided for informational purposes only. Actual amounts may vary.
$0,000 Your Payment 20 15 65
$0,000 Your Payment

Explore

Coarsegold

Coarsegold has previously had several names, including Coarse Gold, Gold Gulch, Michaels, Oro
Grosso, Texas Flat, and Coarse Gold Gulch. The place was first called Texas Flat after miners from
Texas discovered gold there in 1849. By 1874, the name had changed to Michaels, honoring Charles
Michaels, a local merchant. A rival mining camp inhabited by Mexicans there was called Oro Grosso,
the Spanish translation of coarse gold. 
 
The current name derives from the California Gold Rush of the mid-19th century, when prospectors
discovered coarse nuggets of gold in a nearby creek. At one time, several dozen gold mines
operated in the area.
 
The Coarse Gold Gulch post office opened in 1878, changed the name to Goldgulch in 1895 and to
Coarsegold in 1899.
Coarsegold has previously had several names, including Coarse Gold, Gold Gulch, Michaels, Oro Grosso, Texas Flat, and Coarse Gold Gulch. The place was first called Texas Flat after miners from Texas discovered gold there in 1849. By 1874, the name had changed to Michaels, honoring Charles Michaels, a local merchant. A rival mining camp inhabited by Mexicans there was called Oro Grosso, the Spanish translation of coarse gold. The current name derives from the California Gold Rush of the mid-19th century, when prospectors discovered coarse nuggets of gold in a nearby creek. At one time, several dozen gold mines operated in the area. The Coarse Gold Gulch post office opened in 1878, changed the name to Goldgulch in 1895 and to Coarsegold in 1899.
Show more

Let’s connect

Thank you for your message

We will be in touch with you shortly

name

Thank you for your message

We will be in touch with you shortly

Let’s connect

Melissa Zamorano

EM

Melissa Zamorano

Broker-Associate

02070687